Tropical Cyclone Vaianu Disrupts Travel and Safety for Australians in Fiji

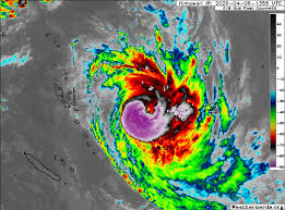
Severe Tropical Cyclone Vaianu struck Fiji this week, leaving Australian tourists stranded in resorts as strong winds, heavy rain, and flash flooding swept across the island nation. The cyclone, which has caused widespread disruptions to flights and local services, has prompted warnings from Australia’s Department of Foreign Affairs and Trade (DFAT) for travellers to brace for potential delays and stay alert to emergency guidance.

Travellers in southern resort areas near Nadi described tense conditions as the storm battered the region. Melanie Harris, an Australian visitor staying with her son, reported repeated power outages, debris being hurled by relentless winds, and challenges keeping her child safe in the hazardous environment. “You can hear [the wind] constantly, even through the walls,” Harris said, adding that the unpredictability and blackouts made the nights particularly unsettling. An incident involving her son slipping on wet tiles further heightened the stress faced by families sheltering in place.

Most planned tourist activities and day trips have been cancelled, and guests have been told to remain indoors while staff work to maintain safety. Many holidaymakers now face uncertainty about travel plans and are waiting for updates on possible refunds and rescheduled departures. The strain on resort staff was evident, with limited information and support available as the cyclone’s severity persisted.

Flight disruptions have already begun, with at least one Sydney-Fiji service diverted to Tonga because of the dangerous weather conditions. DFAT has warned that further cancellations could occur and essential services may be affected. Travellers are urged to review evacuation procedures, stay in contact with airlines and accommodation providers, and follow all instructions from local authorities.

Meteorologists are also tracking Severe Tropical Cyclone Maila, currently moving near the Solomon Islands and posing a threat to Papua New Guinea and potentially Australia’s far north. Meanwhile, Vaianu is forecast to head south towards New Zealand, and could impact the North Island, including Auckland, later in the week.

As of now, travellers in Fiji remain in a state of watchful waiting, with many anxious about departures and ongoing disruptions as authorities monitor both cyclones and assess the evolving situation.

COMMENTS (0)

Sign in to join the conversation

LOGIN TO COMMENT